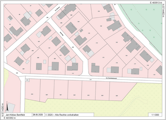
Neue Baugrundstücke in Holtheim
Es sind Grundstücke in verschiedenen Größen verfügbar:
Der Kaufpreis für die Grundstücke beträgt 174,61 €/qm für einheimische Bewerber und 214,30 €/qm für auswärtige Bewerber.
Informationen zum Kaufpreis:
Einheimischer ist, wer mindestens 6 Jahre im Stadtgebiet wohnhaft gewesen oder aufgewachsen ist oder seit mindestens 2 Jahren Einwohner der Energiestadt Lichtenau ist. Im Kaufpreis enthalten sind die Kosten für die Erschließung des Baugebietes, der Kanalanschlussbeitrag und die Vermessungskosten.
Von der Stadtwerke Lichtenau GmbH wird ein gesonderter Baukostenzuschuss für den Wasseranschluss erhoben. Dieser beträgt aktuell 3,40 €/qm.
